首頁
台灣
世界
動物
圖文
娛樂
女生
出門
動漫
生活
公關專欄
編輯專欄
網人365
 
選擇語言:
還原 简体 繁體
  • 關於我們
  • 徵才
  • 聯絡我們
  • 刊登廣告
  • 安卓APP
  • 愛瘋APP

TEEPR 亮新聞

選單
  • 首頁
  • 台灣
  • 世界
  • 動物
  • 娛樂
    • 電影
    • 星聞
    • 影評
    • 美漫
  • 圖文
  • 女生
    • 時尚單品
    • 美妝
    • 感情
  • 出門
    • 旅遊
    • 美食
  • 動漫
    • 動漫宅
    • 遊戲
    • Cosplay
  • 生活
    • 求職
    • 藝術
    • 知識
    • 星座
    • 科技
    • 小物
    • 親子
  • 公關專欄
  • 編輯專欄
    • 蘑菇宅
    • 雪若Q談人蔘
    • Adrian
    • ChloE直講
  • 網人365
    • 今日紅什麼
    • 本週主打星
  • TEEPR原創影片
    • 叭啦叭啦研究室
    • TEEPR推一波
    • 亮新聞
  • IG專區
首頁
台灣
世界
動物
圖文
娛樂
女生
出門
動漫
生活
公關專欄
編輯專欄
網人365

世界

「百萬裝潢燒光」愛貓把家炸成廢墟!她回家見毛孩1狀態哭笑不得:平安就好

August 19, 2025
世界, 動物

家中舊沙發1萬多元賣出「以為自己賺到」 她事後驚覺「60萬飛走了」

August 19, 2025
世界

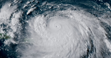
空軍冒險飛入「最猛颶風」艾琳內部!拍下「颱風眼」真實模樣 影片震撼全球

August 18, 2025
世界

咖啡廳砸3000萬「讓顧客在海底上廁所」 海洋迷朝聖老闆卻超困擾

August 18, 2025
IG專區, 藝術, 旅遊, 世界

假扮員工混進多家公司尾牙 男子領獎還拍大合影沒人發現

August 18, 2025
世界

5年來沒回阿公家!孫子一拉開窗簾「嚇到崩潰」 影片超可怕

August 17, 2025
IG專區, 世界, 動物

夫婦退休「搭郵輪500天」 「費用比養老院便宜」現況曝光

August 17, 2025
IG專區, 旅遊, 世界

家中唯一男孩要結婚 「上面11姐姐」合資百萬寵弟:婚禮、買房我們處理

August 16, 2025
世界

半夜公園驚現「幽靈警察」?犯罪率驟降22% 真相曝光網全傻了

August 16, 2025
世界

中國不攻台了?川普:習近平親口承諾「我當總統任內」不會動武

August 16, 2025
世界, 台灣

照片中有一條蛇 網友找到眼睛脫窗:我現在應該被咬了

August 16, 2025
世界, 動物

川普宣布「半導體新關稅」上看300%!拍板定案時間曝

August 16, 2025
世界
跳轉頁面« 第一頁‹ 上一頁8889909192939495969798下一頁 ›最後一頁 »
← Older posts
Newer posts →
TEEPR原創影片
網人365
編輯專欄
公關專欄
生活
動漫
出門
女生
ChloE直講
科技
娛樂
Travel Seefood
圖文
小物
Adrian
親子
動漫宅
雪若Q談人蔘
動物
美漫
星座
遊戲
美妝
Jane的假的
影評
世界
知識
Cosplay
時尚單品
叭啦叭啦研究室
電影
蘑菇宅
台灣
本週主打星
美食
亮新聞
感情
旅遊
Girls Talk!
星聞
今日紅什麼
藝術
IG專區
激辯擂台
TEEPR推一波
求職
TEEPR 亮新聞 (Awesome Co. Ltd.) Copyright © 2014
DMCA.com Protection Status
關於我們
服務條款
隱私條款
聯絡我們
爆料信箱:[email protected]
聯絡專線:+886-2-7709-1699
 
兒童不宜內容

此內容只給年滿18歲的讀者觀看,如非18歲請退出!

我大人了啦!
未滿18歲
cwv3_den_title

cwv3_den_msg

未滿18歲